
Back
Agrostistachys sessilifolia (Kurz) Pax & K.Hoffm.
| Family Name: | Euphorbiaceae |
| Synonyms: | Agrostistachys borneensis auct. non Becc. |
| Common Name: | Bornean Jenjulong, Jejulong, Jenjulong, Leaf Litter Plant |
Name
Classifications and Characteristics
| Plant Division | Angiosperms (Flowering Seed Plants) (Dicotyledon) |
|---|---|
| Plant Growth Form | Shrub |
| Lifespan (in Singapore) | Perennial |
| Mode of Nutrition | Autotrophic |
| Maximum Height | 6 m |
Biogeography
| Native Distribution | India, Sri Lanka, Thailand, Peninsular Malaysia, Singapore, the Philippines, and Papua New Guinea |
|---|---|
| Native Habitat | Terrestrial (Primary Rainforest, Mountain, Secondary Rainforest, Monsoon Forest, Freshwater Swamp Forest, Riverine) |
| Preferred Climate Zone | Tropical, Sub-Tropical / Monsoonal |
| Local Conservation Status | Native to Singapore (Least Concern (LC)) |
Description and Ethnobotany
| Growth Form | It is a shrub up to 6 m tall. |
|---|---|
| Foliage | Its spirally arranged, stalked leaves have leathery leaf blades that are oval or drop-shaped, yellowish-brown when dry, and 6-70 by 2-16 cm. |
| Flowers | Its flowers grow in shoots that are up to 35 cm long. Its male flowers are light orangish and 2-3 by 1.5-3 mm, while its female flowers are 2-4 by 2-3.5 mm. |
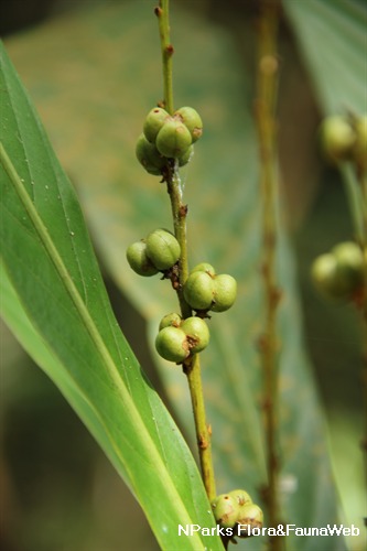
| Fruit | Its orange fruits are 6-9 by 5-7 mm, while its seeds are 4-6 by 3-5 mm. |
| Habitat | It grows in primary, secondary, montane, and swamp forests, along rivers, and in open places, up to 2000 m altitude. It occurs locally in the vicinity of MacRitchie Reservoir and Nee Soon Swamp Forest. |
| Associated Fauna | Its flowers are insect-pollinated. |
| Taxonomy | Previous name of Agrostistachys borneensis auct. non Becc. misused in Singapore. Current name of Agrostistachys sessilifolia (Kurz) Pax & K.Hoffm. is applicable to wild plants in Singapore but not necessarily to wild plants elsewhere or to cultivated plants originating elsewhere. |
| Cultivation | It can be propagated by seed. |
| Etymology | In Latin, 'agrostis' is a type of grass and 'stachys' is an ear of corn which refers to the inflorescences of this genus. |
| Ethnobotanical Uses | Others: The gum from the plant is used to varnish the sheaths and handles of krises. |
Landscaping Features
| Landscaping | It is suitable for parks in partially shaded areas for its attractive form. |
|---|---|
| Desirable Plant Features | Ornamental Form |
| Landscape Uses | General, Parks & Gardens, Small Gardens, Riverine |
Fauna, Pollination and Dispersal
| Pollination Method(s) | Biotic (Fauna) |
|---|
Plant Care and Propagation
| Light Preference | Semi-Shade |
|---|---|
| Water Preference | Moderate Water |
| Plant Growth Rate | Moderate |
| Rootzone Tolerance | Moist Soils, Well-Drained Soils, Fertile Loamy Soils |
| Propagation Method | Seed |
Foliar
| Foliage Retention | Evergreen |
|---|---|
| Mature Foliage Colour(s) | Green |
| Mature Foliage Texture(s) | Leathery |
| Foliar Type | Simple / Unifoliate |
| Foliar Arrangement Along Stem | Spiral |
| Foliar Attachment to Stem | Petiolate |
| Foliar Shape(s) | Non-Palm Foliage (Obovate, Oval) |
| Foliar Venation | Pinnate / Net |
| Foliar Margin | Entire |
| Leaf Area Index (LAI) for Green Plot Ratio | 4.5 (Shrub & Groundcover - Dicot) |
Floral (Angiosperm)
| Flower & Plant Sexuality | Bisexual Flowers |
| Flower Colour(s) | White, Cream / Off-White, Orange |
|---|---|
| Flower Grouping | Cluster / Inflorescence |
| Flower Location | Axillary |
Fruit, Seed and Spore
| Mature Fruit Colour(s) | Orange |
|---|---|
| Fruit Classification | Simple Fruit |
| Fruit Type | Dehiscent Dry Fruit , Capsule |
Image Repository
Others
| Master ID | 332 |
|---|---|
| Species ID | 1628 |
| Flora Disclaimer | The information in this website has been compiled from reliable sources, such as reference works on medicinal plants. It is not a substitute for medical advice or treatment and NParks does not purport to provide any medical advice. Readers should always consult his/her physician before using or consuming a plant for medicinal purposes. |










